El Centro Nacional de Huracanes emitió un aviso para el suroeste del Atlántico Norte, de los Estaos Unidos, ya que el huracán Erin se dispone a emitir oleajes destructivos y marejadas ciclónicas a los Outer Banks de Carolina del Norte.
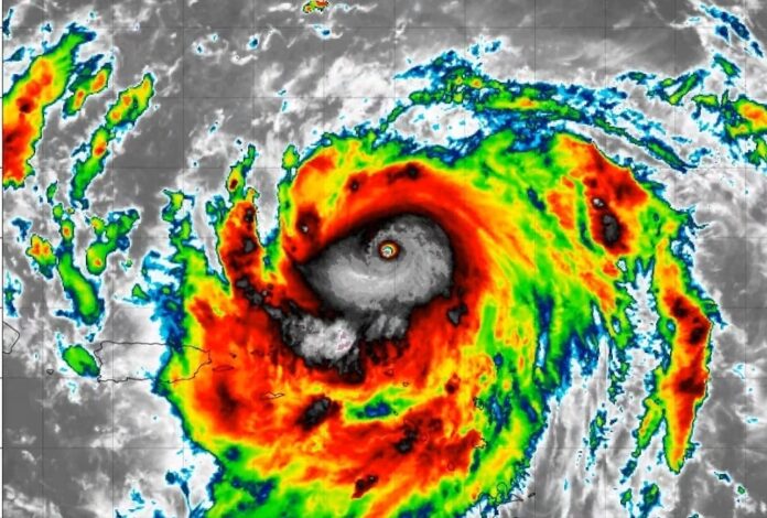
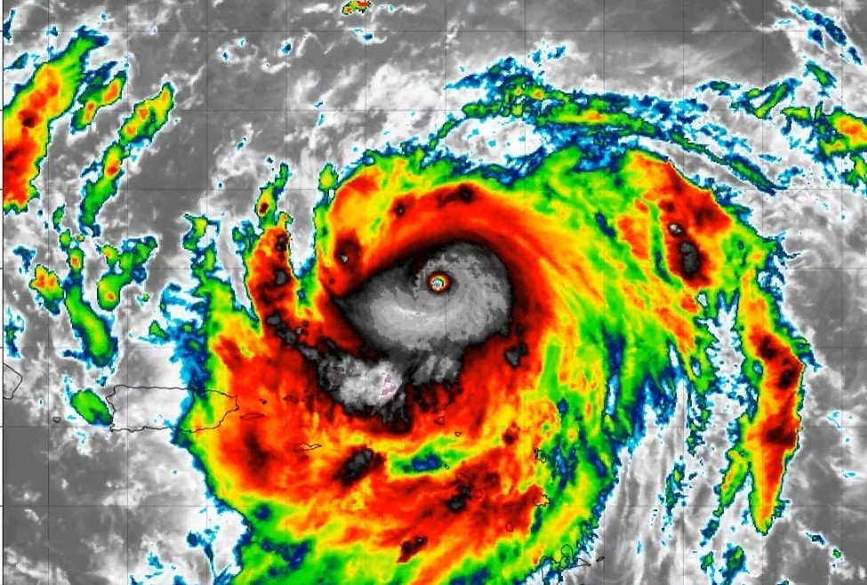
Erin es un huracán de categoría 3 que se expandió rápidamente y cobró fuerza durante el fin de semana, al parecer no se prevé que toque tierra, pero provocará holas torrenciales a medida que avanza por la costa este.
El impacto ya se siente en las costas estadounidenses, muestra de ello se realizaron 75 rescates por corrientes de resaca en la costa sur de Carolina del Norte, según informaron las autoridades del condado de Now Hanover.
Los vientos del huracán se extienden hasta 25 millas (35 km) desde su centro, por lo que se prevé tormentas con ráfagas de viento a través del área de Islas Turcas y Caicos, Puerto Rico y Las Bahamas.
El centro Nacional de Huracanes afirma que una onda tropical que sigue a Erin en el Atlántico tiene un 60% de probabilidad de convertirse en depresión o tormenta en los próximos siete días.
Se espera que Erin se mantenga como huracán categoría 3 al menos hasta mediados de semana, ya que el impacto no se sentirá directamente al tocar tierra, sino a través del agua; es decir, holas grandes y fuertes, corrientes peligrosas e inundaciones costeras durante las mareas altas.





